조황사진

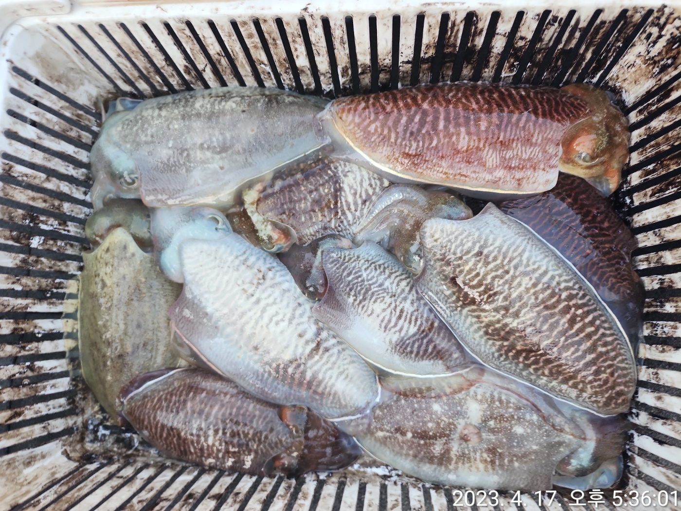
4월 17일 갑오징어

By  백호      posted  2023-04-17 19:20:58     

 

날도 좋고~ 널널하게 출조 했습니다^^

부부 조사님 두분이 장원, 부장원 하셨네요~^^

24수 장원, 20수 두 분 부장원!


희한하게 거기서 거기인데도 

큰거 나올땐 큰것만 나오고 작은거 나올땐 

작은것만 나오고 하네요~ 


오늘은 대갑이도 물론 섞였지만,

중갑이가 많이 나왔습니다.

대부분 두자릿수 하시고, 즐겁게 낚시하고 

돌아왔습니다~ 


내일 기상 서귀포 앞바다 오락가락 하네요

19일은 정상출조 합니다!!!

모두 수고 많으셨습니다~~~~^^


www.100ho.co.kr


























Prew  4월 19일 갑오징어
Next  4월 15일 갑오징어 조황
 
목록




TOP

제주백호피싱

선박안내

|

승선예약

|

이용약관

|

개인정보처리방침

대표자: 김광준|대표전화 : 010-4458-2132

대표주소: 제주특별자치도 제주시 도공로 2

출조항구 : 제주특별자치도 제주시 도두항

Copyright©2021 제주백호피싱. All Rights Reserved.